Decoding The NHC: Your Ultimate Guide To Hurricane Season

S.Dufferinbot 71 views
Decoding The NHC: Your Ultimate Guide To Hurricane Season

Decoding the NHC: Your Ultimate Guide to Hurricane Season

Hey guys! Ever wondered how we stay ahead of those massive storms that roll in during hurricane season? Well, the National Hurricane Center (NHC) is where it all happens! It’s like the central command for everything hurricane-related in the Atlantic and Pacific oceans. In this guide, we’ll dive deep into what the NHC does, how they operate, and why their work is super crucial for keeping us safe. Let’s get started!

What Exactly Does the National Hurricane Center Do?

Alright, so the National Hurricane Center (NHC) is basically the official U.S. government agency that tracks and predicts tropical cyclones. But it’s way more than just tracking storms, it’s about providing critical information that helps communities prepare and respond. It’s the go-to source for hurricane forecasts, watches, and warnings, which are crucial for everyone from coastal residents to emergency managers. Their mission? To save lives, minimize property damage, and boost economic productivity by providing the best tropical cyclone forecasts and information possible. Pretty important stuff, right?

So, what does that actually look like? Well, the NHC monitors tropical disturbances, which are areas of unsettled weather that could potentially develop into something bigger. They use a whole arsenal of tools: satellite imagery, radar data, aircraft reconnaissance, and computer models. These models are super complex and use tons of data to predict a storm’s path, intensity, and potential impacts. Forecasters at the NHC then analyze all this data to issue their forecasts. They issue advisories every six hours, with intermediate advisories issued as needed when conditions change rapidly. These advisories include everything from the storm’s current location and intensity to its predicted path and the potential hazards, like heavy rain, strong winds, and storm surge. Plus, they coordinate with other agencies, like the National Weather Service (NWS) and local emergency management, to get the word out to the public. It’s a massive undertaking, but their dedication helps save lives and minimizes damage when those crazy storms come to town. Understanding the NHC’s role is essential for staying safe during hurricane season!

Their main job is to issue a bunch of products that help people prepare. These products include: Tropical Cyclone Watches and Warnings: They issue watches when a tropical cyclone poses a threat within 48 hours and warnings when a threat is expected within 36 hours. Forecasts: These detail the expected track, intensity, and potential impacts of the storms. Graphical Products: These visual aids help everyone easily understand the storm’s potential impacts. Public Advisories: These provide concise and easy-to-understand summaries of the storm’s status. Technical Discussions: These cater to meteorologists and provide in-depth analysis of the storm’s behavior.

Understanding the NHC’s Forecasting Process

Alright, let’s peek behind the curtain and see how the National Hurricane Center actually works its forecasting magic. It’s a complex process that involves a ton of science, technology, and human expertise, which is pretty amazing! The whole process starts with monitoring the conditions in the Atlantic and Pacific oceans. The NHC uses satellites to keep an eye on weather patterns, looking for disturbances that might develop into tropical cyclones. They also use data from weather balloons, buoys, and other sources to get a complete picture of the atmosphere and the ocean. Once a tropical disturbance is identified, forecasters begin analyzing the data. They use specialized computer models that take into account factors like atmospheric pressure, wind speeds, and sea surface temperatures to predict the storm’s path and intensity. But it’s not just the models that do all the work; human forecasters are essential. These experts analyze the model output, consider their experience, and use their knowledge of past storms to make their own forecasts. They then issue these forecasts, which include details about the storm’s location, intensity, and expected impacts, such as heavy rain, strong winds, and storm surge. Forecasts are updated regularly, often every six hours, and the NHC issues intermediate advisories when conditions change rapidly. They also work with other agencies, such as the National Weather Service, to get the information out to the public through various channels, including news media and social media.

One of the most important things the NHC does is issue watches and warnings . A watch means that hurricane conditions are possible within the next 48 hours, while a warning means that hurricane conditions are expected within 36 hours. These watches and warnings are crucial, as they give people enough time to prepare for the storm. The NHC also provides a variety of other resources, such as storm surge inundation maps and rainfall forecasts, to help people understand the potential impacts of the storm. The forecasts are constantly updated as new data becomes available, allowing the NHC to fine-tune the information it shares.

The entire forecasting process relies on a huge amount of data and a lot of analysis. The NHC uses satellite imagery, radar data, aircraft reconnaissance, and computer models to track and predict tropical cyclones. They issue advisories every six hours, with intermediate advisories issued as needed. They coordinate with other agencies to get the word out to the public, which is why the NHC is considered a critical part of the U.S. hurricane preparedness system.

Tools and Technologies Used by the NHC

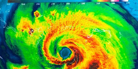
Okay, so what kind of tools do these meteorologists use to make their predictions? The National Hurricane Center (NHC) relies on a bunch of cutting-edge tech to do its job. It’s like a high-tech weather lab! The first and most critical tool is satellite imagery . The NHC uses images from both geostationary and polar-orbiting satellites to monitor developing storms. These satellites can provide a broad overview of cloud patterns and storm systems. Next up, we have radar . Doppler radar systems, both land-based and airborne (like the ones on Hurricane Hunter aircraft), provide detailed information about a storm’s structure, intensity, and movement. Radar can also detect rainfall rates and wind speeds within a storm. Hurricane Hunter Aircraft are also super important. These specially equipped planes fly directly into hurricanes to collect data, which includes wind speed, pressure, temperature, and humidity. This data is critical for understanding the storm’s dynamics and improving forecast accuracy. And then there are computer models . The NHC uses sophisticated computer models that simulate the behavior of hurricanes. These models take into account various factors, such as atmospheric pressure, wind speeds, and sea surface temperatures. Some of the most frequently used models include the HWRF (Hurricane Weather Research and Forecast) model and the GFDL (Geophysical Fluid Dynamics Laboratory) model . Finally, the NHC uses a bunch of other tools . These include data from weather buoys, weather balloons, and surface observations. All of these different tools help forecasters understand and predict the behavior of hurricanes.

These resources are constantly being updated and improved. The NHC is continually investing in new technology and research to improve its forecasting capabilities and provide the best possible information to the public. It’s a huge undertaking, but it is one that’s essential for keeping everyone safe during hurricane season!

The Impact of the NHC’s Work on Public Safety

The National Hurricane Center’s (NHC) work has a massive impact on public safety. Their work helps communities prepare and respond to hurricanes. It’s like having a dedicated team that is constantly monitoring and analyzing information to provide accurate and timely forecasts. Because of these forecasts, people can take the necessary precautions to keep themselves safe. This includes things like evacuating homes, securing property, and stocking up on supplies. By providing accurate warnings, the NHC gives people the time they need to prepare and potentially save their lives. They work very hard to predict the paths and intensities of hurricanes. This is very important, because if the predictions are accurate, people can take the appropriate steps to protect themselves. By analyzing data from satellites, radar, and aircraft, the NHC can track the movement of a storm. And by using sophisticated computer models, the NHC can predict where and when a hurricane will make landfall. They coordinate with local officials and emergency management agencies. This collaboration is very important, because it ensures that information is shared quickly and efficiently. By working together, the NHC and local officials can make sure that everyone is aware of the potential threats and knows what to do in order to be safe. It is their work that contributes to saving lives and reducing property damage during these storms.

The NHC’s work extends far beyond just issuing warnings. They also conduct research to improve hurricane forecasting and understanding. This includes studying the behavior of hurricanes, analyzing the impacts of climate change, and developing new forecasting models. Their work is crucial for ensuring that people have the information they need to stay safe during hurricane season. Their constant efforts contribute to saving lives and minimizing damage during those crazy storms.

How to Access and Use NHC Information Effectively

Alright, so you know how important the National Hurricane Center (NHC) is, but how do you actually get the info and use it? First off, the NHC website (www.nhc.noaa.gov) is your go-to resource. It’s packed with the latest forecasts, advisories, and maps. You can also find all sorts of information on tropical cyclone tracks, probabilities, and potential impacts. The website is easy to navigate and updated regularly. You’ll find the latest public advisories, which give a concise overview of each storm. They include the storm’s current location, intensity, movement, and any warnings in effect. They also provide detailed discussions for meteorologists, explaining the reasoning behind the forecasts. And there are graphical products, like the cone of uncertainty, which shows the most probable track of the storm, and potential impacts maps, which highlight areas at risk of flooding and other hazards. This site also contains helpful tools, such as the tropical cyclone track map. This allows you to track storms in real time. You can also use the interactive storm surge inundation maps. These resources help you understand the potential impacts of a storm in your area. You can also find information about preparedness and safety, including tips on how to prepare your home and family for a hurricane. The site also provides links to other resources, such as the National Weather Service and local emergency management agencies.

Beyond the website, you can also follow the NHC on social media, like Twitter and Facebook. They post updates, graphics, and other important information in real-time. Make sure to sign up for local alerts from your local emergency management agency. They’ll send notifications about evacuation orders and other important information. Make a plan. Know your evacuation zone and have a plan for where you will go if you need to evacuate. Put together an emergency kit with supplies like food, water, medications, and other essential items. Stay informed. The more information you have, the better prepared you’ll be. By using these resources and taking the time to prepare, you can stay safe and protect yourself and your family during hurricane season. Staying informed is super key .

Future of Hurricane Forecasting and the NHC

So, what does the future hold for the National Hurricane Center (NHC) and hurricane forecasting? The NHC is constantly working to improve its forecasting capabilities and provide the public with the most accurate and up-to-date information possible. They are investing heavily in new technology, such as advanced computer models, satellite imagery, and radar systems. They are also conducting research to better understand the behavior of hurricanes, including how they are impacted by climate change. As an example, the NHC is developing new models that take into account the impacts of climate change on hurricane intensity and track. They’re also developing more sophisticated storm surge models to better predict coastal flooding. Another focus is on improving communication. They want to provide information to the public in a way that is clear and easy to understand. This includes developing new graphics and products. They are working with local emergency managers and other agencies to ensure that everyone has access to the information they need to stay safe. They are working to improve the accuracy of hurricane forecasts. This involves improving the accuracy of both the track and intensity of hurricanes. They are also working to improve the lead time for hurricane warnings. Their goal is to give people as much time as possible to prepare for a storm. The future of the NHC is very exciting. With these new technologies and research projects, the NHC will be able to provide even more accurate and timely forecasts. These forecasts will help to save lives and protect property during hurricane season, which is great news!

The NHC is always evolving to keep us safe.