Weather Channel's Hurricane Coverage: Real-Time Footage

S.Dufferinbot 82 views
Weather Channel's Hurricane Coverage: Real-Time Footage

Weather Channel’s Hurricane Coverage: Real-Time Footage

Hey there, weather enthusiasts! Ever found yourself glued to the screen during a hurricane, utterly captivated by the raw power of nature? Well, you’re not alone! The Weather Channel, or as some of you might know it, TWC , has been our go-to source for real-time hurricane footage for ages. It’s where we go to witness the fury of these massive storms unfold, and it’s something special. So, today, let’s dive into what makes The Weather Channel’s hurricane coverage so essential and how it brings us front-row seats to Mother Nature’s most dramatic shows. We’ll chat about the incredible footage, the technology that makes it possible, and why it’s such a critical resource for keeping us informed and safe.

The Power of Real-Time Hurricane Footage

Okay, guys, let’s be real. When a hurricane hits, it’s not just about the wind and rain; it’s a spectacle. The Weather Channel gets that, and that’s why their real-time hurricane footage is so darn compelling. Think about it: instead of just hearing about a storm, you get to see it. You witness the wind tearing through trees, the waves crashing against the shore, and the sheer scale of the storm’s impact. This visual storytelling is incredibly powerful and helps us understand the severity of the situation much better.

The Weather Channel’s hurricane footage isn’t just about entertainment, though. It’s about providing crucial information in the moment it matters most. When you’re watching live footage, you’re not just seeing the present; you’re also seeing the future. The visuals help you grasp the storm’s intensity, direction, and potential impact on your area. This live feed is a huge help for making important decisions. This could be to stay put, find shelter, or even decide when to evacuate. The ability to see the effects of a hurricane firsthand makes the danger seem real, making people respond quickly. This leads to the safety of the citizens and can save many lives. Furthermore, the real-time element is critical. Weather conditions change rapidly during a hurricane. Updates keep you informed and help you to react as events unfold. They will know when things are safe and when they are not, and will update constantly to keep you informed. Overall, this real-time element makes the coverage an essential tool for safety.

Technology Behind the Scenes: How They Capture the Storm

Alright, so how does The Weather Channel pull off this amazing feat? Well, it’s a combination of cutting-edge technology and incredibly brave people. They use a bunch of tools to capture the storm, giving us the amazing footage we see. Here’s a peek behind the curtain at some of the key players.

Firstly, there are the storm chasers . These brave souls head straight into the hurricane’s path, armed with cameras and a deep understanding of weather patterns. They’re like the eyes and ears on the ground, providing us with real-time views of what’s happening. They have to deal with intense winds, heavy rain, and the risk of flying debris. They are incredibly courageous, and the footage they capture is simply breathtaking, but they also have to remain calm under pressure. Their goal is to get us the most accurate and up-to-the-minute updates, and their contributions are invaluable.

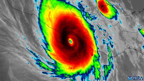
Next up, we have satellite imagery and radar . These aren’t just fancy gadgets; they’re the workhorses of hurricane tracking. Satellites capture a broad view of the storm from space, showing its size, shape, and overall movement. Radar, on the other hand, gives us a detailed look at the storm’s internal structure, showing the intensity of the rain and the wind speeds. The Weather Channel blends data from satellites and radar, creating a complete picture of the hurricane and providing insights. This data helps meteorologists predict how the storm will change over time, and it is a crucial component of their real-time coverage.

And let’s not forget drone technology . Drones are the new kids on the block, and they’re changing the game. They can fly into areas that are too dangerous for humans, providing unique perspectives on the storm’s impact. Drones capture stunning aerial views of damage, flooded areas, and other critical details. They also help to measure wind speeds and other data. As technology continues to develop, drones will play an increasingly important role in the coverage of these events. In short, the technology behind the scenes is as complex and sophisticated as the storms themselves, allowing us to witness these events with unparalleled clarity.

The Importance of Weather Channel Coverage

So, why is The Weather Channel’s hurricane coverage so crucial? The answer is simple: information and safety. In a hurricane, access to up-to-the-minute information can be the difference between life and death. The Weather Channel provides this essential service.

Think about it this way: hurricanes are unpredictable. They can change direction, intensify rapidly, and cause widespread damage. Having access to accurate, real-time information is essential for making informed decisions. The coverage includes live reports from the scene, expert analysis, and constantly updated forecasts. This helps people to understand the risks and how they can best protect themselves and their families. This is the main reason why the coverage is so important. They are the go-to source for reliable information during the chaos. That’s why the coverage is so important. They’re a reliable source of information, with dedicated professionals working around the clock to keep us safe.

Furthermore, The Weather Channel’s hurricane coverage has a significant impact on preparedness efforts. They help raise awareness of the risks and encourage people to prepare for the storm season. From providing advice on how to build a disaster kit to explaining evacuation procedures, they equip viewers with the tools and knowledge they need to stay safe. They also work with emergency management agencies to share important information and coordinate response efforts. This coordinated approach helps to make sure that communities are well-prepared when a hurricane strikes. By providing reliable information, the weather channel empowers us to make smart choices. They also help to protect us from these dangerous events. It’s a key part of their commitment to public safety, and it’s a role they take very seriously.

What to Expect When Watching the Coverage

Okay, so what should you expect when tuning in to The Weather Channel during a hurricane? Well, expect a team of dedicated professionals, all working to provide you with the most up-to-date and accurate information possible. Expect live reports from the field, expert analysis, and constantly updated forecasts. It’s a 24 7 operation, with meteorologists, reporters, and producers working around the clock to keep you informed.

Expect real-time footage from various sources. This includes live views from storm chasers, satellite imagery, and radar data. Expect to see the full force of the storm, from the wind and rain to the flooding and damage. This can be intense, so it’s a good idea to watch with a friend or family member if you’re feeling anxious. The goal is to provide you with a complete picture of the storm. They will show you the danger and give you the information you need to make important decisions.

Expect a focus on safety. They will constantly provide updates on potential hazards and provide advice on how to stay safe. They also work closely with emergency management agencies to share important information and coordinate response efforts. The most important thing for them is the health and safety of their viewers. So, expect a team that’s committed to keeping you informed and helping you through the storm. They’re not just reporting the news; they’re working to help you stay safe.

Finally, remember to stay informed and follow the advice of local authorities. Hurricanes are dangerous, and it’s essential to take them seriously. By watching The Weather Channel, you can get the information you need to stay safe and protect yourself and your family. Stay alert, stay informed, and stay safe out there, guys!

Conclusion: The Weather Channel – Your Hurricane Ally

So, there you have it, folks! The Weather Channel’s hurricane coverage is an indispensable resource during these powerful events. From its real-time footage to its expert analysis, it gives us front-row seats to Mother Nature’s fury. The technology, the dedicated professionals, and the commitment to safety all come together to provide us with the information we need to stay safe and informed. It’s a testament to their dedication to public service. They are your allies in the face of these storms. So, next time a hurricane heads your way, tune in, stay informed, and let The Weather Channel guide you through the storm. Stay safe out there!